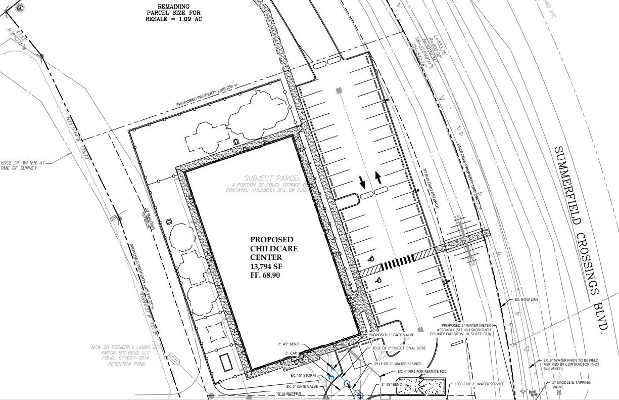
Primrose School - Riverview

Riverview - New child care center to open on Summerfield Crossing Blvd

214 max students (6 weeks - 5 years) with 24 Teachers and 2-3 Administrators…

This one goes back to May ‘22

https://www.facebook.com/bokorscorner/posts/pfbid02Heo2ijsLM6iAHusnhcW4KfzsZY3h91VZtKma1AFfS4mTH6vUAyXmfeQtuKM8dQ1Wl

 
Previous
Previous

Trifecta Cigar Update - Fishhawk

Next
Next

The Gallery at South Tampa - Valrico